Description
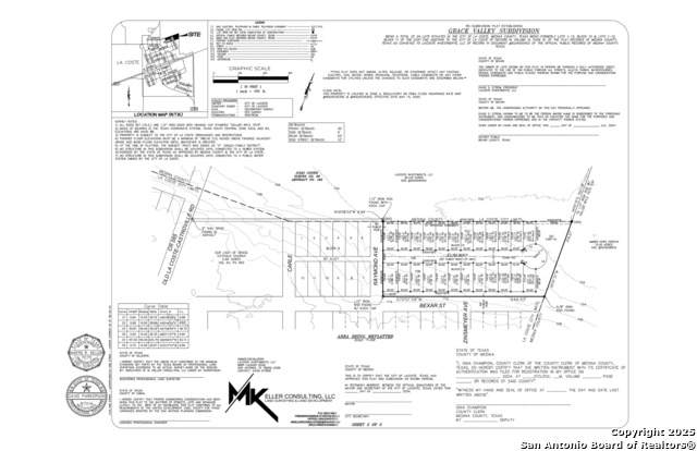
Prime Development Opportunity in LaCoste, TX! Discover 24 platted and approved lots located within the city limits of LaCoste, offering a rare chance for immediate development. With the groundwork already completed, these lots save valuable time and expense, making this property an ideal investment for builders and developers. LaCoste is a growing community that continues to maintain its small-town charm, while offering convenient access to San Antonio and the surrounding area. The property is positioned within the highly regarded Medina Valley ISD, a sought-after district known for strong academics and community involvement. Potential access to city utilities adds to the long-term value and ease of development, allowing you to bring your vision to life with less upfront hassle. Whether you're looking to build out a residential neighborhood or hold for future growth, this opportunity stands out in today's market.
-
0BEDS
-
4.75ACRES
-
0BATHS
-
01/2 BATHS
School Ratings & Info
Description
Prime Development Opportunity in LaCoste, TX! Discover 24 platted and approved lots located within the city limits of LaCoste, offering a rare chance for immediate development. With the groundwork already completed, these lots save valuable time and expense, making this property an ideal investment for builders and developers. LaCoste is a growing community that continues to maintain its small-town charm, while offering convenient access to San Antonio and the surrounding area. The property is positioned within the highly regarded Medina Valley ISD, a sought-after district known for strong academics and community involvement. Potential access to city utilities adds to the long-term value and ease of development, allowing you to bring your vision to life with less upfront hassle. Whether you're looking to build out a residential neighborhood or hold for future growth, this opportunity stands out in today's market.

© 2026 Information provided courtesy of LERA MLS. All rights reserved. IDX information is provided exclusively for consumers' personal, non-commercial use and may not be used for any purpose other than to identify prospective properties consumers may be interested in purchasing. Information is deemed reliable but is not guaranteed accurate by the LERA MLS or River City Team | Keller Williams Heritage. Last updated 2026-02-18T09:32:47.913.